Chat en Línea

Enajenación de Bienes

B26 - Lote Campestre

Lote 6 de la Manzana 3 de la calle Paseo de las Mieles, Fracto. "La Colmena", Municipio de Hermosillo, Sonora.

B24 - Lote Campestre

Lote número 51 de la Manzana 1, Calle Enjambre, Fracto. "La Colmena", Municipio de Hermosillo.

B22 - Lote Campestre

Lote número 48 de la Manzana 1, Paseo del Panal, Fracto. "La Colmena", Municipio de Hermosillo.

B25 - Lote Campestre

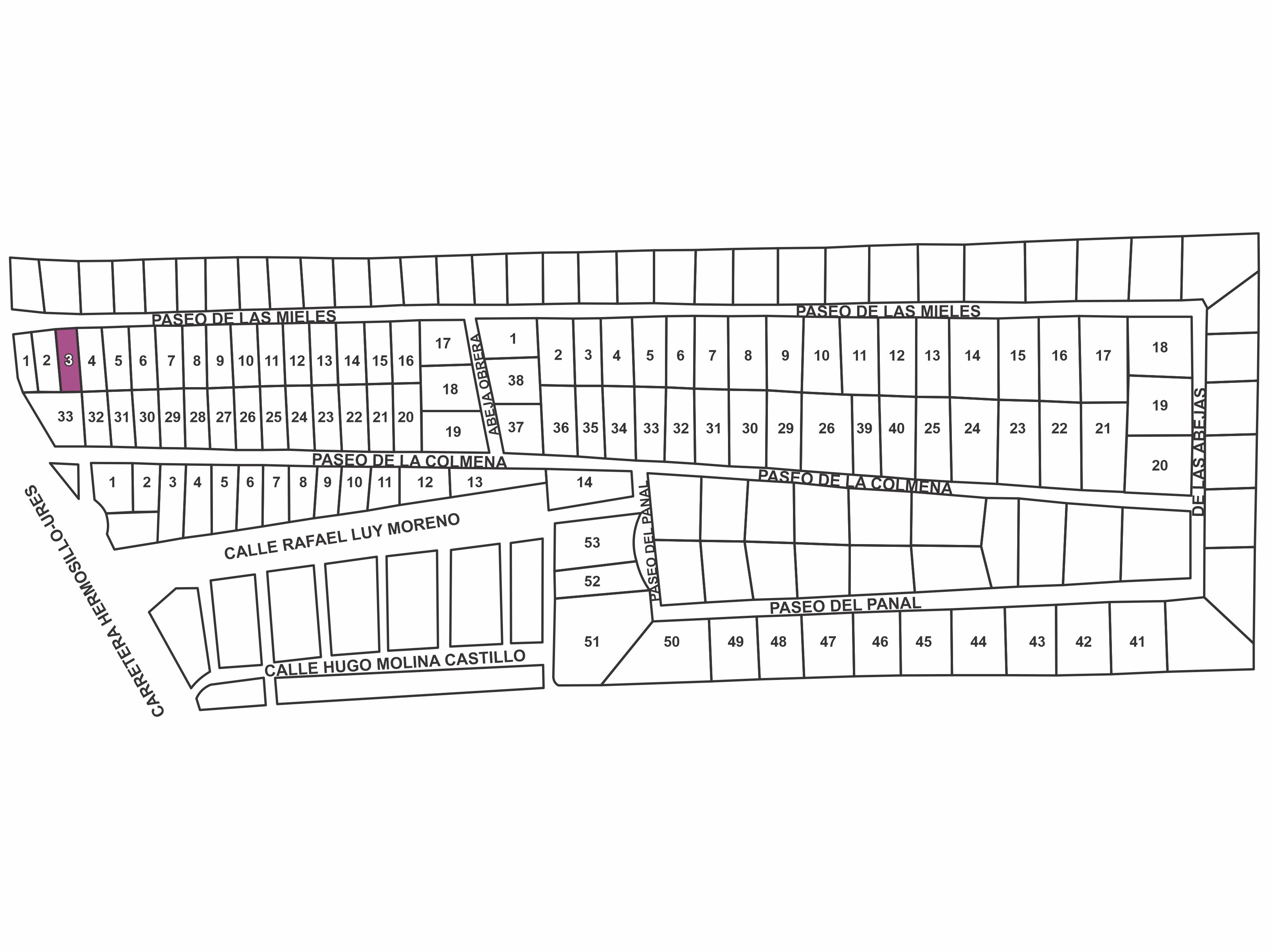
Lote 3 de la Manzana 2, de la calle Paseo de las Mieles, Fracto. "La Colmena", Municipio de Hermosillo, Sonora.

B23 - Lote Campestre

Lote número 50 de la Manzana 1, Paseo del Panal, Fracto. "La Colmena", Municipio de Hermosillo.

B21 - Lote Campestre

Lote número 47 de la Manzana 1, Paseo del Panal, Fracto. "La Colmena", Municipio de Hermosillo.